Guanaja, Roatan et Utila - "Las Islas de la Bahia" | | Bienvenue sur les îles du Honduras, "Isla de la bahia" |
|  Premier stop, l'île de Guanaja ... |  | Nous sommes par là, sur l'île, quelque part sous le "O" rouge au nord du Honduras.
position 16°27'24 N et 85°52'23 W |
| |
| Bonjour à tous depuis les îles du Honduras...
Arrivée le 17 juin 2016 en début de matinée après avoir parcouru 385 milles nautiques depuis l'île de Providencia en 3 petits jours, nous aurions pû faire plus rapide mais nous avons beaucoup freiné l'allure depuis le milieu de l'après midi de la veille afin d'arriver, de jour, au petit matin.
Navigation moyennement plaisante, beaucoup de nuages, d'orages tout autour de Chamicha, une mer assez formée par moment, bref, nous étions contents d'arriver au mouillage dans notre nouveau petit paradis, l'île de Guanaja, Isla de los pinos, ou en français, l'île au pins.
Nous sommes environ 500 kms plus au nord du Panama. Il fait nettement moins chaud car ici les vents soufflent encore beaucoup à cette saison, contrairement au Panama et aux San Blas.
En route, un tazard "suicidaire" d'un mètre vingt est monté à bord, cela faisait longtemps... le dernier en date est celui pêché avec notre ami Claudius aux Aves au Vénézuela en ... sauf erreur 2011 ... vous voyez bien que nous n'y sommes pour rien dans l'appauvrissement des mers !!!
|
| |  | Le Honduras en 3 mots ...
Le drapeau du Honduras tient son origine des "Provinces unies d'Amérique centrale" qui regroupaient entre 1823 et 1839 une grande partie de l'Amérique centrale. Le drapeau fut quant à lui utilisé officiellement le 9 janvier 1866. La bande blanche est ornée de 5 étoiles bleues. Les étoiles représentent les 5 États de l'Union de l'Amérique Centrale, tandis que l'étoile située au milieu représente le Honduras, qui lui est le pays situé au centre même de l'Union.
Les trois bandes horizontales évoquent la situation géographique du pays, à savoir une bande de terre (la bande blanche) coincée entre l'océan Pacifique et la mer des Caraïbes (bandes bleues). La couleur blanche symbolise plus spécifiquement la paix et la prospérité.
Le sport national du Honduras est le soccer (football européen).
Le Honduras est surnommé la République de Bananes principalement à cause de son importation de bananes. |
|  | Quelques infos quand même sur ce nouveau pays, souvenez-vous, les voyages forment la jeunesse
Capitale : Tegucigalpa Population : 8.555.072 (2013) Superficie :112.088 km2 Indépendance : 15. 9. 1821 Point culminant : Cerro Las Minas (2.870 m) PIB : $ 4.744 (FMI, 2012) Monnaie : lempira (HNL)
Pas plus d'info comme vous avez tous internet ...
|
| L'emblème du pays, ce bel oiseau rouge et noir. Le tangara écarlate |
|
| |  |
3 petites îles sont sur notre route pour se rendre au Rio Dulce pour la saison cyclonique donc. La première, la notre, la plus à l'Est et la plus haute en altitude se nomme Guanaja, la suivante Roatan et la dernière plus proche de l'entrée du Rio Dulce se nomme Utila.
Vous verrez quelques photos un peu plus bas et vous comprendrez pourquoi nous préférons aller nous mettre à l'abri pendant ces quelques mois... (Le Panama était hors zone dangereuse, mais bon, il faut bien changer d'endroit quand même...) |
|  | | Depuis Google earth, nous sommes à l'endroit du petit point rouge... |
|
|  | | La baie dans laquelle nous sommes ... vue depuis la terrasse d'un restaurant en hauteur |
|
Quelques infos sur notre escale du moment : source internet
Guanaja est la seconde île en superficie avec 50 km2 et la plus orientale du département des "Islas de la Bahía", au Honduras. Les deux autres sont donc Roatan et Utila.
Longue de 17 km et d'une largeur maximale de 7 km, elle se trouve à environ 70 km de la côte nord du Honduras et 12 km à l'est de Roatán la plus grande des 3. Altitude environ 400 m.
La majorité des 8.000 îliens vit dans le chef-lieu, Bonacca, qui concentre également l'activité commerciale, situé sur la face sud-est, non pas sur le sol de l'île mais sur une paire de récifs coralliens. Les deux autres communes importantes sont Mangrove Bight et Savannah Bight, dans la partie nord.
Guanaja est découverte le 30 juillet 1502 par Christophe Colomb, lors de son 4ème et dernier voyage (1502-1504) et il débarque sur la plage de Soldadao, sur la côte nord. En raison de la présence de résineux, il la baptise Isla de los pinos (l'île des pins). Au XVIIIe siècle, l'île est habitée, entre autres, par des sujets britanniques, ce qui explique la diffusion de l'anglais.
L'économie de Guanaja est fondée sur la pêche et essentiellement sur les revenus du tourisme.
Le salaire moyen dans le pays se situerait entre 200 et 300 dollars par mois, toujours source internet assez récente, un des pays les plus pauvres d'Amérique centrale.
Ceinte par un récif corallien, l'île possède de belles plages de sable blanc aux eaux turquoise et elle attire tout particulièrement les amateurs de plongée sous-marine.
Avec une seule route reliant Mangrove Bight et Savannah Bight, l'essentiel des déplacements s'effectue par bateau. Ainsi, un canal, à hauteur de Bonacca, coupe l'île de part et d'autre et permet un accès plus rapide entre le chef-lieu et les endroits situés dans la partie nord.
À partir de la Ceiba sur le continent, Guanaja est desservie par une ligne aérienne. |
|  | La "capitale" de l'île, BONACCA, entièrement construite sur des rochers avec bon nombre de maisons sur pilotis, une sorte de "petite Venise" tropicale !!!
.
|
| | |  | Comme toujours tout l'approvisionnement arrive par la mer, c'est le jeudi normalement ... mais cette fois ce sera un vendredi, le jour aussi de notre arrivée. Nous assistons au déchargement de quantité de marchandises de toutes sortes, de l'alimentaire aux matériaux de construction... Nous faisons nos formalités, faciles, rapides et gratuites !!! visa valable 3 mois, bateau seulement 1 mois...
Une quantité de belles grosses lanchas blanches et oranges dont les pont sont chargés d'une quantité impressionnantes de caisses en bois, vides, nous laisse perplexe. Leur ligne de flottaison sont bien au-dessous du raisonnable. Nous apprenons par la suite qu'il s'agit de la flotte qui va partir tout prochainement pour la nouvelle saison de la pêche à la langouste à la pointe caraïbe du Honduras, là où nous sommes passés pour venir, à environ 200 milles nautiques de là. Les caisses sont en fait des pièges à langoustes. La saison commence le 1er juillet et dure 6 mois.
. |
|
| | L'hôtel super classe DUNBAR Rock, construit sur un rocher qui semble trop petit, est juste à coté de notre mouillage
|  |
| |
| 
Comme les années se suivent et se ressemblent quand même un peu, un grand jour ce mois-ci ... le 18 juin ... de nouveau un anniversaire !!! celui du moussaillon ...
|
|
Nous allons fêter cela en tête à tête dans un joli resto faisant partie d'un superbe hôtel sur la barrière de corail, Graham's Place ... Retenez cette adresse aussi ... c'est MAGNIFIQUE, repas bien correct...
Pas de gâteau avec les bougies mais un super moment dans ce cadre enchanteur
Quelques photos (internet) de l'endroit depuis le ciel pour vous faire envie... évidemment ce ne sont pas les miennes, le Père Noël ne m'a pas encore apporté un drone étanche... j'étudie la question ...
|
| | | | Quelques-unes de mes photos sous forme de montage pour prendre moins de place !!! cliquez dessus pour les voir en plus grand
|
| |
| | |  | Une quinzaine de tortues marines nagent dans "l'aquarium", c'est-à-dire dans un parc marin à proximité du ponton. D'après le site de l'hôtel, elles auraient aussi la possibilité d'avoir une petite plage pour pondre.. quelques petites sont dans un autre enclos, avec d'autres poissons et quelques belles langoustes... juste pour le plaisir des yeux !
|
|
|  Quelques perroquets colorés et un magnifique ara dans de grandes cages.
|
| |
|  | Et puis, juste à coté, un petit animal rouquin qui n'a pas voulu montrer le bout de son nez, il dormait papattes en rond dans sa maison. En fait, il s'agit d'un "kinkajou", ou encore appelé "ours de sucre". Et s'il dormait, c'était normal, il vit la nuit... et paraît-il celui-ci est bien actif quand il est l'heure de sortir son museau à la tombée du jour ...
Voilà ce que j'ai trouvé sur cette adorable bestiole :
Le Kinkajou, aussi connu sous le nom de Sugar Bear (ours de sucre), est un mammifère arboricole des forêts tropicales, de la même famille que les ratons laveurs et les olinguitos
Il vit en Amérique centrale et Amérique du Sud, il ne s'y fait pas rare mais est rarement aperçu en raison de ses strictes habitudes nocturnes.
Le kinkajou a une fourrure laineuse composée d'une couche extérieure dorée ou gris-brun recouvrant un sous-poil gris. Curieusement, bien que le kinkajou soit classé dans l'ordre des carnivores et ait des dents pointues, son régime alimentaire se compose principalement de fruits. Il est aidé en cela par sa langue extraordinaire, longue de 13cm (un tiers de son corps), qui lui permet aussi de lécher le nectar des fleurs, de sorte qu'il joue le rôle d'un important pollinisateur (il dissémine aussi les graines).
Comme les ratons laveurs , les capacités manipulatoires remarquables du kinkajou de rivalisent avec celles des primates. En plus d'être habile de ses mains, il a aussi une queue préhensile, qu'il utilise comme une « cinquième main » dans l'escalade.
Si nous l'avions vu de nuit, voilà à quoi nous aurions assisté ... les 2 dernières photos (internet)
plus d'infos sur ce joli petit animal https://fr.wikipedia.org/wiki/Kinkajou
|
| |
| |
C'est dans ce décor hors norme et de rêve pour beaucoup (même pour nous, je vous assure) que nous avons passé une délicieuse journée. En fait c'est bien de vieillir... un peu... c'est l'occasion de passer un agréable moment, moment que l'on prolongera d'ailleurs en allant voir de plus près un bel établissement qui se trouve à quelques brasses du bateau, le restaurant "Manati" (appellation espagnole du lamentin, vous savez ce gros animal marin tout doux que l'on voit surtout du coté de la Floride). Certaines conditions feraient que cette île qui dispose de réserves d'eau douce et de végétation appropriées pourrait ou en aurait abrité, mais si tel est le cas ils ont dû être tous mangés !!!
Enfin pour en revenir à notre restaurant, presque caché dans un écrin de verdure, celui-ci est tenu par un sympathique couple d'allemands, Anett et Klaus venus s'installer il y a 20 ans au Honduras et le gèrent depuis une dizaine d'année. Après avoir papoté avec Klaus, je vous assure que le retour dans leur pays d'origine n'est pas du tout à l'ordre du jour !!!
Nous y rencontrons quelques sympathiques navigateurs de toutes origines, occasion de mettre en pratique une fois de plus notre magnifique anglais !!! |
| |  | | La cuisine est bonne, familiale, peut-être un peu trop germanique... il paraît même qu'ils fabriquent eux-même un excellent chocolat ... affaire à suivre |
| |
| Ce n'est pas seulement un repaire de marins, mais aussi de colibris, de chiens, d'un chat qui a trouvé la gamelle meilleure que chez lui, de vaches, celles du voisin, et d'une variété de plantes et de fleurs magnifiques. |
| |
| 
Revenons au chocolat ...
Du site ""Choco'clic"" ... quelques explications ...
La provenance des fèves de cacao du Guanaja
Guanaja, actuellement Honduras, est une des îles situées dans la mer des Caraïbes. Guanaja est surtout connue pour ses succès touristiques. Mais sur cette terre de 17 km de long sur 7 km de large, existe une plantation de cacao. Une plantation qui, d'après des études scientifiques, est le berceau du cacao et, par conséquent, du chocolat. Ces plants de cacaoyers se situent dans la vallée Ulúa. Et bien que cultivé dans le monde entier, le cacao retrouvé au Guanaja demeure unique et de très haute qualité.
Etant de première souche, les cacaoyers de Guanaja sont de la variété des criollos. Le criollo est au chocolat comme l'arabica est au café. Ce qui signifie que le cacao obtenu avec les fèves des criollos est d'excellente qualité. Le chocolat criollo est un peu rouge, avec une saveur distinctive complexe. En effet, il est possible d'y sentir le goût du caramel, de noix, de vanille et du tabac. En outre, ces criollos sont les plus fins et les plus recherchés. De ce fait, les barres de chocolats fabriqués avec les fèves de cacao criollo sont relativement rares. Effectivement, la production de criollo mondial ne dépasse pas les 5% par an. La cabosse du criollo est allongée avec des pointes très accentuées. La surface du fruit est rugueuse. Sa couleur est orange lorsqu'elle arrive à maturité. Les fèves obtenues à partir des cabosses sont de couleur blanche. On parle alors de casse claire. La période de récolte se situe, en général, entre la fin de la saison des pluies et la fin de la saison sèche.
Les criollos de Guanaja sur le marché mondial Le criollo est une variété de cacao haute qualité. Comme les criollos sont de faible rendement, le Guanaja ne mise pas totalement sur l'exportation de ses fèves. En effet, il se focalise sur le café qui est l'un de ses principaux produits exportés, suivi de près par la banane. Sinon, ses autres ressources sont le cacao, le maïs, le tabac, la canne à sucre, les crustacés, etc. Malgré la faible production de criollo, les cacaos de Guanaja peuvent être trouvés parmi les ingrédients de quelques chocolats. Ils sont exportés presque en totalité vers la Suisse, les États-Unis, l'Espagne, le Panama, le Costa Rica, le Guatemala, le Salvador et le Nicaragua.
Le cacao criollo d'Honduras ou de Guanaja est un produit très demandé sur le marché, étant donné la qualité de ses fèves et de son cacao qui se transmet alors au chocolat.
voilà pour la rubrique "gourmandise"
|
|
Dans quelques jours une autre grande date, une autre sorte d'anniversaire, celui de notre départ un certain 22 juin 2006 de la Grande-Motte ... 10 ans déjà ...
Pour info, notre ancien bateau, Colibri maintenant, doit se trouver probablement sur les îles des Galapagos en ce moment.
Pourquoi allons nous dans le Rio Dulce ensuite ? |
|  |
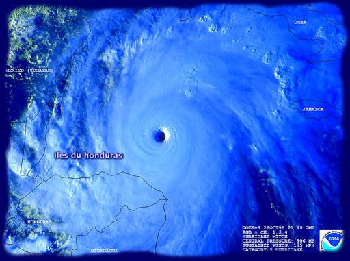
Tout simplement parce que nous sommes revenus dans une zone à fort risque de cyclones, la preuve, le dernier en date... Mitch en 1998 (source internet)
Extrait d'un site redigé par Yann Arthur BERTRAND http://www.yannarthusbertrand2.org/index.php?option=com_datsogallery&Itemid=27&func=detail&catid=44&id=1291&p=1&l=1366
Frappée en 1998 par le cyclone Mitch, l'île paradisiaque de Guanaja, la plus grande des îles de la baie, a vu ses récifs coralliens, ses plages, ses mangroves, ses forêts tropicales et ses ruisseaux enchanteurs dévastés en quelques jours. Près de 7 000 Honduriens ont trouvé la mort, plus de 10 000 personnes ont disparu, tandis que les dégâts matériels ont coûté près de 4 milliards de dollars au pays. Depuis, la vie et le tourisme ont repris leur cours. Des plantations de pins caraïbes ont remplacé les forêts ravagées par le vent et les projections d'eau salée. Les écosystèmes se régénèrent lentement. Les hérons, les aigrettes et les pélicans sont revenus, mais les dommages causés aux mangroves semblent irréversibles. L'amplification et la fréquence accrue de phénomènes météorologiques extrêmes comme le cyclone Mitch résultent très probablement du réchauffement climatique causé par les activités humaines.
Né au sud de la Jamaïque, le cyclone Mitch a atteint son paroxysme, avec des rafales de 288 km/h, quatre jours avant de s'abattre sur l'Amérique centrale, le 26 octobre 1998. Le Honduras a été balayé pendant deux jours par des vents destructeurs, des pluies diluviennes et des coulées de boue qui ont rasé des villes entières, tuant plusieurs milliers de personnes, laissant plus d'un million de sinistrés et causant au moins 58 millions de dollars de dégâts. Les catastrophes hydrométéorologiques (causées par l'eau et les conditions météorologiques) ont été de plus en plus fréquentes ces dernières décennies. Leurs effets sont particulièrement dévastateurs dans les pays en développement. En seulement 10 ans, des années 1980 aux années 1990, le nombre de personnes touchées par les catastrophes naturelles à été multiplié par près de 1,5.
Dans la nuit du 26 octobre au 27 octobre 1998, l'Ouragan Mitch frappe Guanaja et, inexplicablement, au lieu de continuer son cheminement, il stationne 39 heures sur l'île. Les habitants mesurent l'étendue des dégâts le matin du 29 octobre 1998. Le téléphone et l'électricité sont inexistants, une partie de Bonacca, construite sur pilotis, est détruite et 90 % des bâtiments et habitations des 2 autres agglomérations sont gravement endommagés. La nature paie également un lourd tribut, est complètement défigurée et une vision apocalyptique, telle celle après une attaque aux produits défoliants, s'offre aux insulaires.
|
| | Depuis ce désastre, la végétation a repris ses droits et a retrouvé en partie son aspect d'origine
autre article qui montre la rapidité à laquelle le phénomène s'est amplifié, son évolution et les conséquences https://fr.wikipedia.org/wiki/Ouragan_Mitch
|  |
|  | | et avant de conclure cette parenthèse, l'année 1998 et ses cyclones .... sachant que1997 avait été un épisode El Nino de forte intensité... espérons que 2016 ne sera pas identique ... puisque notre El Nino saison 2016 a été lui aussi assez musclé semble-t-il. |
|
|
Après cet intermède peu réjouissant, et en souhaitant que ce ne soit jamais qu'un mauvais souvenir, revenons sur notre jolie petite île avec du soleil...
L'île est très verdoyante et de très grands arbres dont les fleurs jaune/orange éclairent la végétation, tout comme les pins, les filaos, de magnifiques manguiers et autres arbres tropicaux au tons de verts très variés. L'ile est riche en eau douce, de jolis tout petits ruisseaux limpides viennent se jeter dans la mer. Il y a aussi de belles cascades que certains descendent en rappel.
|
| |
Elle est coupée en deux par un canal bordé de mangroves sur lequel peuvent naviguer lanchas et bateaux de promenade ou de plongée. S'y trouve la piste de l'aéroport reliant l'île au continent deux fois par jour.
Nous irons en annexe de l'autre coté, et là, oh surprise, le décor est totalement différent. On pourrait se croire au bord de la Méditerranée, vers des lacs en montagne, parfois aussi en Sardaigne... ce ne sont plus des plages et des cocotiers... jugez par vous-mêmes... |
| Traversée du canal en annexe |
| la cote Nord-Ouest de l'île |
| |
| |  | | Eau douce ... |
| Vue du ciel de la baie de Mickael Rock
|
| | | L'entrée de l'aéroport, accès en barque uniquement. |  |
| |
| 
De l'autre coté de l'île ... Départ en annexe pour rejoindre Savannah Bight
De Savannah Bight à Mangrove Bight, la seule et unique petite route de l'île, nous avons vu dansle village 3 voitures, quelques petits camions-plateaux, une poignée de motos et aussi ces sortes de vieux scooters transportant des passagers, dont nous ! En route pour la visite ... |
| | | | |  | | Presque toutes les maisons sont construites sur pilotis, même souvent quand elles sont sur la terre ferme; On nous explique que cela est utile les jours de très mauvais temps pour les protéger des vagues qui rentrent dans le lagon. |
|
| | | Les filles à l'entraînement ... à chacune son ballon, pas d'histoire de gros sous ni de scandale ici !!! |  |
| |  | | Au cimetière du village, deux tombes un peu particulières et joliment décorées |
|
| 
Même la "porcherie" est presque sur pilotis !!! Monsieur est en train de laver ses cochons à grande eau ... ils ont l'air de trouver cela agréable... |
|
Comme je l'ai écrit plus haut, l'île ne manque pas d'eau, cachées dans la végétation, plusieurs cascades ne demandent qu'à être vues... une heure de marche en gros pour la plus simple ... balade à venir ??? Enfin, en principe oui, j'entends déjà le Cap'taine : "oui; bof, c'est de l'eau qui coule !!!"" |
| |
Une série de photos à voir ou à revoir sur cette jolie île ...
| | |
|
|
Et sous l'eau ... pas trop fait de snorkeling, mais ces îles sont réputées pour la plongée sous-marine...
Une petite trempette ... que dire, et bien, cela ressemble beaucoup à ce que nous connaissons déjà, pour nous rien d'exceptionnel ici, mais néanmoins joli. Les habitants du récif ne semblent pas peureux, ils ne sont pas chassés comme aux San Blas.
De jolis coraux, des éponges, des gorgones, et une foule de jolis poissons curieux. De belles raies aussi. Visite sous l'oeil intéressé d'un petit barracuda ... ou d'un ange français ! |  |
| |
| | |  | Voilà donc notre petite pause de presque 10 jours en tout. Ensuite cap sur l'île de Roatan à quelques 35 milles nautiques de là, destination de notre futur mouillage, French Harbor ...
. |
|
|  |
Départ de Guanaja - 35 milles sous un ciel parfois bouché, heureusement les grains ne seront pas tout à fait sur la même route que nous et n'aurons à subir que quelques gouttelettes. Personne à bord ne s'en plaindra !
|
| |
| |   Roatan, seconde escale des "Ilsa de la Bahia" ...
Ici on retrouve une vraie circulation, avec de vraies voitures.
L'île mesure 40 km de long et entre 2 et 4 kms de large, altitude maxi environ 250 m. Elle est très vallonnée, couverte d'une belle végétation tropicale avec un grand nombre de petites baies squattées par de grands et luxueux hôtels, mais heureusement aussi parfois par de petits villages de pêcheurs aux maisons souvent coquettes à défaut d'être riches.
|
|
|  | position 16°21'30 N et 86°26'47 W
|
| |
| Mouillage de French Harbor, bien protégé par la barrière de corail.
Sur les deux petits îlots devant nous se trouve un parc de loisirs, Little French key. Un zoo, un parc, des attractions en tous genres, bref, de quoi occuper semble-t-il une belle journée. Nous en reparlerons plus loin...
A coté du bateau nage une magnifique tortue, espérons qu'elle ne finisse pas aussi comme certaines en soupe ou en ragoût. Assez paradoxal dans cette partie du Honduras, voir plein de pub concernant la préservation de la faune aquatique et terrestre et voir servir de la tortue et de l'iguane dans certains restaurants. |
| |
|  Nous louons une voiture pour 3 jours (pour info, un petit modèle, 138 dollars avec l'assurance maximum, sans 108 dollars - prix correct)
Je vous emmène visiter cette nouvelle destination en quelques mots et quelques photos. Le Cap'taine est comme toujours au volant, sa place préférée. |
| La petite ville de French Harbour, là où nous avons notre bateau, avec ses maisons souvent colorées, certaines coquettes, d'autres en piteux état, ses petites barrières peintes de toutes les couleurs pour délimiter les propriétés, ses nombreuses églises malgré le peu d'habitants, sa flotte de bateaux de pêche, ses carcasses de vieux rafiots rouillés cyclonés ou abandonnés, ses petites échoppes avec quelques produits de base et des fruits et légumes selon les jours, des gens bien gentils, bref, un petit tour de ville agréable avec une pause déjeuner dans un petit resto bien typique dont la patronne aimable n'hésite pas à donner un maximum d'infos. Le plat de jour, 150 lempiras, en gros à peine plus de 6 dollars avec lambi, riz, haricots rouges et salade. Le chef s'est régalé. Jolie vue sur la mer... ça nous change !!! |
| | | |  | | Livraison de bananes - arrivée en petit bateau, puis hissées sur un petit pont et de là chargées dans un 4x4. |
| |
| | | |  | A coté de la petite bourgade tranquille de French Harbor, nous avons été étonné de trouver un grand supermarché américain, Eldone.
Cela s'explique par le fait que des baies entières et leurs belles plages sont souvent squattés par des hôtels de luxe ou de magnifiques résidences construites avec soin.
Dans cette île beaucoup d'américains et de canadiens ont élu leur domicile, soit pour leurs vacances, soit pour leur retraite. Cela semble un bon choix, mais certains prix immobiliers semblent flamber !
Beaucoup de nourriture américaine donc et quelques spécialités françaises !!! Cocorico !!!
d'abord les z'américaines ...
|
| | | puis celles de chez nous !!! |  |
| et la cerise sur le gâteau ...
Une spécialité d'ici et peut-être d'ailleurs sur le continent un peu plus haut, du coté de chez les américains toujours... pourquoi se casser la tête à couper les haricots verts fins "à la française" traduisez par "french cut" ? si vous avez déjà vu cette "spécialité" dans notre beau pays, faites nous signe ... mais surtout l'astuce réside dans le fait de les couper ... dans le sens de la longueur ! Ils sont donc insipides, gorgés d'eau, fades à volonté ! comment les rendre "mangeable à l'américaine... ketchup et mayo à gogo !!! berkkkkkk
|  |
| |  | et là aussi, le pain "français" est en vogue, mais pour nous, nous passons loin du rayon sans piper un mot... des fois que l'on nous reconnaîtrait ... comme français... Quelle honte, je n'ai pas même trafiquer la photo pour rendre le pain encore plus pale ! et je vous assure, il n'est pas vendu pour du "pré-cuit". Ha oui, petit détail aussi sur l'étiquette... "crusty" signifie "croustillant" ... croyez-y !!!
On continue la visite ... ailleurs qu'au supermarché (ce sera notre dernier grand avant pas mal de temps semble-t-il)
Que nous disent donc les guides sur Roatan ? |
|
|  |
Les plages
L'île est reconnue pour ses nombreuses plages de sable blanc. West Bay est très populaire, tout comme Sandy Bay et Anthony's Key. Toutes ces plages sont parfaites pour se prélasser au soleil, se baigner, marcher ou même chevaucher. Nous avons vérifié, certaines sont vraiment très belles mais dommage que de nombreuses d'entres-elles soient squattées par des "resort de luxe" ou des villas. Il en reste quand même quelques-unes ouvertes au public.
Ceci dit entre nous, tout ce tourisme fournit du travail à beaucoup d'insulaires qui sont toujours aimables, souriants et serviables.
|
| |
| | Plongée selon les guides ...
Certains des plus beaux sites de plongée des Caraïbes se trouvent près de Roatán. On y décèle une vie marine très diversifiée. Les voyageurs peuvent dériver grâce aux courants du site La Punta. Le corail est en bon état et de nombreuses espèces de poissons s'y promènent. Au site du West End Wall, il est même possible d'observer différentes espèces de requins. À Pablo's Place se trouvent de magnifiques parois coralliennes et une abondance d'éponges cylindriques.
Nous, nous n'avons pas fait de snorkling ni de plongée mais selon les personnes rencontrées, il parait que les sites sont très beaux... en tout cas sous Chamicha nous avons une belle équipe de carangues et quelques tortues dans le mouillage.
Aussi une autre attraction sympa (prix par contre nettement moins sympas)
Petits et grands peuvent aussi profiter des spectacles de dauphins au Roatán's Institute for Marine Sciences, ou même nager avec eux (pour info, prix 115 dollars par pers, pas glop !)
Nous, on se régale des dauphins en liberté dans certaines de nos navigations, d'ailleurs nous en avons rencontrés une bonne vingtaine , peut-etre plus, en partant de Roatan en direction d'Utilla. Ils ont joué une bonne vingtaine de minutes sous l'étrave du bateau, comme toujours "magique"
Le Jardin botanique Carambola
Un peu de marche quand même... le Cap'taine a battu son record, une petite heure de montée pour atteindre un beau panorama sur les petits ilôts en bordure de la barrière de corail en traversant une grande magnifique forêt tropicale avec une belle variété d'arbres et de plantes exotiques dont des palmiers immenses. Arrivés au sommet du mont Carambola et magnifique vue.
|  |
| | |  |
Puisque nous sommes dans la nature, quelques bestioles rencontrées de-ci, de-là...
|
|  | Monkey La La ... l'équivalent au Panama du "jesu cristo", ou officiellement "basilic", le lézard qui marche sur l'eau !!! hé, oui comme quoi les miracles arrivent aussi chez les lézards ! |
| |  | Des iguanes (que l'on mange, au même titre que les tortues marines malgré les protections dont ces dernières font l'objet, les iguanes donc sont plutôt sombres, gris foncé ou quasi noir, avec des plaques un peu couleur crème sur le dos, contrairement à ceux observés auparavant, à savoir, vertes pour les jeunes et ensuite beige, marron, parfois rayés. Nous n'en avons vu que quelques-uns dans les parcs des grands hôtels.
|
|  |
Aussi quelques beaux oiseaux, certains dans leur environnement, d'autres en cage ... |
| |
| | |  | Après la séquence découverte... un peu de tourisme à grande échelle !!!
Bien qu'étant à la saison dite "pluvieuse", certains paquebots arrivent encore de Miami ou d'ailleurs.
|
| | Au détour du chemin à Coxen Hole ... contraste saisissant entre le linge qui sèche et l'arrière plan ... le Norwegian Getaway ... |  |
|
Le tout dernier-né de la flotte de la compagnie Norwegian Cruise Line, le Norwegian Getaway, a été inauguré en janvier 2014. Le navire offre à ses quelques 4000 passagers une multitude d'innovations qui font de ses croisières des vacances inoubliables. Le Getaway croise dans les Caraïbes Orientales, au départ de Miami exclusivement, tout au long de l'année.. Norwegian Getaway en chiffres
Année de mise en service : 2014 Vitesse : 22.00 noeuds Tonnage brut : 145 655 tonnes Nombre de passagers : 3 963 Membres d'équipage : 1 646 Longueur : 324 mètres Largeur : 40 mètres
A terre, une profusion de boutiques "duty free", d'attractions en tout genre, de départ de balades pour l'ile. Il semble que le bateau reste 2 jours sur place ce qui laisse quand même le temps de visiter. Les taxis, les petits guides locaux vous accaparent dès que vous sortez du cadre du "duty" pour vous proposer la visite de la ville, les excursions, bref, tout est minuté mais assez bien organisé (pour qui aime ce genre de voyage) |
| | |
Artisanat local, musique typique mais aussi celui des habituels commerces, bijoux, tableaux, tee-shirt et autres gadgets, aussi des pierres précieuses du secteur comme le jade et autres comme les diamants. Bref, comme toujours, tout est prévu pour que votre porte-monnaie fasse une cure d'amaigrissement ! |
|  | Il semblerait que l'on fasse aussi des cigares au Honduras.
|
| |
| | | Séquence relaxation en descendant du navire... si vous savez des fourmis dans les jambes ... un remède infaillible... se faire grignoter les pieds par de petits poissons ... |
| |
| |
Puisque nous sommes à Coxen Hole, la capitale de l'ile, voici quelques photos prises dans les ruelles commerçantes |
| | | camionnette de la poste hondurienne |
|  | | arrivage de vélos neufs chez le chinois du coin |
|
| | | fruits exotiques ... toujours et encore, jamais on ne s'en lasse |  |
| |
| | | 
fillettes parées pour une cérémonie de mariage |
| 
Tout arrive par bateau ici, même le bétail
Continuons notre petit tour d'horizon ....Un peu plus loin ... en allant vers l'ouest... |
| 
un phare à vocation plutôt commerciale |
|
West point, West end, Sandy Bay... 3 petites bourgades touristiques, bar fun, boutiques sympas, départ de balades en mer, plongée et j'en passe ... tout pour ne pas s'ennuyer pendant vos vacances |  |
|
| | | | |  |
Quelques autres photos de notre tour d'île... la pointe Est, le nord, le sud, bref... on aura fait quelques 220 kms sur un territoire qui ne mesure que 40 de long et dont le réseau routier est assez réduit. |
| | | | | | | | |  |
Retour dans notre joli mouillage, et visite du fameux FRENCH KEY 44
C'est un petit parc de loisirs, situé à 2 pas du bateau, que les visiteurs accèdent en radeau à moteur. Bar, resto, piscine naturelle dans le lagon, mais aussi un petit zoo où nous avons fait la connaissance de Lawrence ... devinez, un superbe lion qui a passé une bonne partie de son existence dans une cage à peine plus longue que lui, dans un zoo ou un cirque. Il a été récupéré en piteux état, remis sur pied, soigné et enfin nourrit correctement. Il vit ici maintenant une belle retraite dans une immense cage sur cette petite île.
Un autre couple de lion, plus jeune, un adorable lionceau qui n'a qu'une envie, jouer, un couple de pumas, deux splendides guépards, quelques singes, des cervidés en voix d'extinction, des aras et autres perroquets colorés, des poules, des lapins, des pintades, moins exotiques certes mais les gosses les adorent aussi. Des jolis écureuils grignotaient des graines au dessus de nos têtes dans les grands arbres qui protègent du soleil. Nous y allons avec notre annexe, histoire de voir ce petit monde et de déguster une bonne "margarita" les pieds dans l'eau !!! |
| | |  |
Quelques pensionnaires ... |
| | | | | | | |
Ce sera sur cette petite note sympathique et inattendue que nous terminons notre séjour à Roatan. L'île nous a bien plu, et une jolie maison typique en bois serait la bienvenue pour nos vies futures !!!
Départ le 10 juillet pour la dernière île sur notre route avant le Rio, UTILA la dernière à l'ouest. Ensuite il nous restera environ 120 milles nautiques pour arriver à destination.
Sur notre chemin, à mi-distance, nous croisons la route d'une bonne vingtaine de dauphins. Bien décidés à profiter de jouer un moment avec les coques de Chamicha, ils nous feront un magnifique ballet tout autour du bateau pendant une vingtaine de minutes. Moments toujours magiques, inoubliables...
|
|  | Arrivée vers 14h 30 dans notre mouillage proche du village, après la plus belle des tentatives pour ranger notre gennaker !!! Il finira sa course dans l'eau sous un flotteur, heureusement sans mal ni déchirure. Et il y aura probablement de l'eau venue du ciel pour le rincer à l'eau douce. On pensait s'être améliorer dans cette manoeuvre délicate, que neni... tout est à revoir, mais promis, on y arrivera... un jour !
Nous ne maîtrisons pas encore, point s'en faut, notre technique malgré l'enmagasineur... enfin, c'était plutôt musclé, et un tantinet dangereux... le bras droit du moussaillon en garde quelques séquelles, pas grave dans quelques jours, ce ne sera plus qu'un mauvais souvenir... jusqu'à la prochaine fois !
La photo prise peu de temps avant la trempette !!! Elle est belle cette voile et nous permet de bien avancer. Nous n'avons pas encore testé notre spi, affaire à suivre, mais lui est dans une "chaussette", peut-être que la manoeuvre sera plus aisée pour le ranger. |
|
La météo veut bien nous laisser le temps d'en profiter, pas de cyclone en vue...
Utila, encore un paradis pour les plongeurs semble-t-il... ensuite cap sur le Guatemala et entrée dans le Rio Dulce pour les mois à venir...
on part de ce pas visiter...
|
|  | Depuis notre mouillage, pas très loin, les montagnes proches sur la côte du Honduras.
|
| | Revenons à notre île, position du jour : 16°05'49 N et 86°53'61 W
Que nous dit internet sur cet endroit ?
Utila est une île vocanique, la plus petite île du département des Islas de la Bahía au Honduras, après Roatán et Guanaja, dans une région qui marque l'extrémité sud de la barrière de corail mésoaméricaine, la deuxième plus vaste au monde. Elle se trouve à environ 29 kilomètres de la cote du Honduras. L'extrémité est de l'île est recouverte d'une fine couche de roches basaltiques, issues d'éruptions de divers cratères environnant dont ce lui de Pumpkin Hill (en français, colline de la citrouille) qui constitue le point culminant de l'île avec ses 74 m. L'île est connue depuis le quatrième voyage de Christophe Colomb et jouit d'un tourisme croissant, notamment pour la plongée sous-marine qui y est pratiquée.
Superficie : 49,3 km2 Population environ : 4000 hab Densité : 60,85 hab/km2 ville principale et quasi unique : Utila
Quelques photos de notre première approche ... un après-midi à terre ...
Une rue principale en bord de mer... enfin, un petit village, ou une mini ville, 5 églises différentes, plein de commerces et de petits restos et surtout, surtout, des clubs de plongée à n'en plus finir ...Padi Padi par-ci, Padi Padi par-là... partout des enseignes au fameux logo. Le look d'ici pour ces maîtres des profondeurs ... cheveux courts ou longs, parfois des dreads mais surtout une grosse barbe bien fournie rarement taillée...un peu broussailleuse, on se croirait... vous savez... là-bas... mais, bon, eux ne sont fanatiques que de fonds sous-marins et de clients accros. On parle parfois français car une partie de la clientèle est canadienne et aussi beaucoup américaine. Ce sont parait-il les cours de plongée les moins chers au monde... Nous n'avons pas vérifié. Un "Open water dive" est affiché à 275 dollars dans l'un des clubs...
Et aussi comme dans les 2 autres iles de la Baie, Guanaja et Roatan, bien qu'étant toutes honduriennes, dont la langue officielle est l'espagnol, ici on parle aussi principalement l'anglais.
| |
|
Les 21, 22 et 23 juillet ... carnaval d'Utila ... je vous assure, ce ne sera pas celui de Rio (que nous ne connaissons pas, ni celui des Antilles, Grenade et ailleurs, ni encore celui de Curaçao... mais dans la seule et unique rue du village, tout le monde est de sortie et cela pose quelques problèmes de circulation lors de l'arrivée du catamaran faisant la liaison entre le continent et l'île... enfin, je vous rassure... souci vite résolu.... et l'ambiance est vraiment bonne enfant ... |
| 
Parfois aussi un embouteillage dans "main street"... en français, la rue principale ... |
| |
| Hé, les mamans, c'est l'heure de mon biberon, faudrait pas trop trainer quand même !!! |
|  | | et moi je voudrais arriver avant que ma glace ne soit fondue .. la bière sera chaude ... |
|
|
Balade découverte ...
Nous louons un quad pour 4 heures, mais en moins de 2 heures le tour sera fait. Le circuit routier se limite au village, à quelques accès à deux plages, et quelques chemins nettement moins confortables. |  |
|  | ça ne freine même pas bien cet engin... j'ai bien mon couteau suisse mais pas ma caisse à outils, elle est à bord ... gggrrrrrr
|
|
| La côte au vent d'Utila ... pas question d'arriver ici en bateau, les vagues déferlent sur des rochers découpés et très coupants... |  |
| |
|  | | l'aéroport, ou aérodrome tout proche ... une étonnante pancarte annonce que le terrain et les installations seraient à vendre... vraiment bizarre |
|
La cote sous le vent, pas loin de notre mouillage, nettement plus civilisé et confortable ... Quoique l'arrivée en bateau ne soit pas simple, aucune bouée ni signalisation malgré les nombreuses cayes. |  |
|  | au détour d'une dune, un joli lézard bien coloré mais assez sauvage
Quelques photos en vrac ... |
|
| | | | | |  | Une allégorie dans le ciel... Elle me fait penser à l'image à laquelle l'on l'associe !!! Ici, environ 4000 habitants, 5 églises différentes ??? |
| |
|
Vendredi après midi, les touristes arrivent pour le week-end à bord de l'Utila Princess. |  |
|  |
Beaucoup d'activité sur le quai, les petits taxis locaux arrivent en masse. Quelques voitures bien chargées repartent plein à ras bord.
|
| |
| |  | | papotage ... |
|
| | | | |  | Il y a toujours l'armée en veille quelque part, ils sont en général aimables et souvent souriants |
|  | Bureau de la navigation, une prolongation pour un mois supplémentaire pour le bateau... 1/4 d'heure et gratuit ... |
|
| | |  | | contrôle technique ok à votre avis ??? pas gagné.... réparation du pneu à l'aide de sorte de petites mèches qui se dilatent et qui bouchent le trou ... |
| |
|  | | ce n'est pas Florentine, même si elle lui lui ressemble un peu... |
|  | Puisqu'il semble que ce soit aussi une petite merveille sous l'eau, allons voir ce qu'il en est ...
L'île est réputée pour y observer une espèce assez particulière... le requin-baleine ... (article un peu plus bas)
Poissons tropicaux aux couleurs éclatantes, mais également des barracudas, des carangues à gros yeux, ainsi que des vivaneaux à queue jaune, de très gros pagres, des raies léopards, des raies mantas aussi parait-il ... pas vu... des murènes, bref, toute une vie qui est est maintenant un peu coutumière mais toujours agréable à découvrir.
|
| |
|  | je vous l'avais dit plus haut que le look "plongée" était style "barbu"... en voici 3 exemplaires... je ne vous avais pas menti...
. |
|  | | masque, tuba et palmes.... |
| |
| | | | | | Après ces quelques photos sous-marines disons traditionnelles, voici un autre phénomène de ces lieux ...
Une espèce bien particulière que l'on peut rencontrer ici ...
soit dans le site https://fr.wikipedia.org/wiki/Requin-baleine
ou encore ici : Le requin-baleine http://ultramarina.com
Extrait de cet étrange "poisson" trouvé dans le site Ultramarina
"""""""On ne se lasse pas d'observer ce géant des océans, totalement inoffensif pour l'homme, il est curieux, placide et peu farouche avec les humains. La première observation d'un requin-baleine remonte à 1828, mais on estime l'espèce vieille de 400 millions d'années !
C'est le plus gros poisson vivant du monde, il est cartilagineux, et il peut atteindre jusqu'à 20 m de longueur pour 30 tonnes, néanmoins sa taille habituelle varie de 5 à 12 m. Le « Rhincodon typus » est un requin pélagique, que l'on trouve principalement dans les eaux chaudes. Il est reconnaissable à son corps massif, son dos est gris bleu moucheté de taches blanches.
Sa large tête plate et sa grande gueule armée de 3 000 minuscules dents, peut s'avérer très impressionnante ; ouverte, elle peut mesurer jusqu'à 2 m de large. Il possède cinq fentes branchiales verticales bien visibles, qui lui servent à respirer et à filtrer l'eau, des nageoires dorsales placées sur la première partie du corps ainsi qu'une large nageoire caudale. Il peut vivre jusqu'à 100 ans ! Sa peau est très épaisse et râpeuse comme du papier de verre car elle est recouverte d'une couche de denticules qui lui permet de se protéger.
On observe le requin-baleine dans les lagons, dans les estuaires, dans les passes, là où il peut plus facilement trouver de la nourriture. Il se nourrit principalement de plancton, d'algues, de crevettes, de krill, de petits crustacés, de sardines, d'anchois et autres petits poissons.
Lorsqu'il mange il se met souvent à la verticale et aspire d'énormes quantités d'eau qu'il rejette par les branchies. Il peut aussi nager tranquillement gueule béante pour engloutir le maximum de nourriture, plus d'une tonne par jour.
Il nage très lentement, à environ 5 km/heure, ce qui ne l'empêche pas de parcourir des milliers de kilomètres à la recherche de nourriture. Les mâles migrent sur d'énormes distances, alors que les femelles reviennent à leur lieu de naissance et font donc de plus petites migrations. Les scientifiques tentent d'analyser ces déplacements en suivant des groupes à l'aide de satellites, certains peuvent parcourir plus de 12 000 km. Il est donc difficile de les recenser. Un chercheur australien, Brad Norman, a démontré que l'on pouvait identifier chaque requin-baleine grâce à ses tâches blanches, leur disposition sur le dos de l'animal constituerait l'équivalent de nos empreintes digitales.
Le requin-baleine est ovovivipare, ce qui veut dire que les œufs éclosent dans le ventre de la femelle, il semblerait que celle-ci mette bas tous les 2 ans, mais rien n'est très sûr, ni le lieu, ni la fréquence, ni la période de gestation. Il semblerait aussi que ce soit l'espèce de requin qui ait les portées les plus nombreuses, une femelle a été pêchée au large de Taïwan avec plus de 300 œufs dans ses deux utérus. On rencontre le requin-baleine dans les eaux chaudes et tempérées. En hiver, les juvéniles se retrouvent dans le golfe de Tadjourah à Djibouti, puis près des lagons, des récifs coralliens, généralement proches de la surface, et quelques fois en groupe.
Depuis 2005, le requin-baleine est classé « vulnérable » par l'Union Internationale pour la Conservation de la Nature. Leur valeur marchande est importante en Asie et en Extrême Orient, particulièrement à Taïwan et en Chine, où la pêche est pratiquée au harpon, de surcroît, facile puisque l'animal se laisse approcher et nage généralement en surface. La pollution est un autre facteur d'extinction, les marées noires notamment polluent le plancton.
Le tourisme, s'il n'est pas encadré peut être lui aussi néfaste pour l'animal.
Néanmoins le développement de l'écotourisme autour du requin-baleine fait prendre conscience à certaines populations que ce géant des mers rapporte plus d'argent vivant que mort. Charge aux gouvernements de gérer intelligemment cet écotourisme en limitant le nombre de bateaux sur les sites.
La rencontre avec ce géant des mers restera un moment inoubliable, privilégions les pays qui encadrent les plongeurs et respectent l'animal.""""" fin de l'article
et nous.... et bien, on n'en aura pas vu...
Voici deux photos que j'aurai bien aimé prendre moi-même !!! mais il parait que ce n'est pas la saison de leur présence ici, et au vue d'un tableau vu un site de plongée local avec les dates auxquelles les plongeurs en ont rencontrés, ce n'est pas tous les jours que l'on a la chance de pouvoir en observer. Un peu comme les raies-manta qui sont aussi habituées semble-t-il de ce secteur.
| |
| |  | Là, je suis carrément jalouse !!! 2 photos internet donc ...
|
|
| Enfin nous avons quand même dans notre mouillage Compère "barracuda" format plus que correct, disons 1m - 1m20 en position "chasse" sous nos coques depuis quelques jours, un petit dauphin qui a pointé le bout de son rostre à quelques mètres à tribord et une magnifique raie léopard qui a fait un superbe saut juste derrière nous. On ne peut pas tout avoir !!!
|
|  |
Reflet du coucher de soleil dans les nuages sur la côte du Honduras depuis une terrasse...(ce n'est pas Chamicha) Peu de temps après, ce seront les éclairs sur le continent qui illumineront le ciel ... |
|  Dernière minute ... le carnaval d'UTILA |  Hier 23 juillet, c'était le carnaval dans notre petite île. Ambiance bien sympa, bien loin de ceux du Brésil, de Nice et d'ailleurs. Pour nous marins, loin de ceux de Grenade, de Martinique ou de Guadeloupe, ni encore celui superbe de Curaçao. Celui-ci est fait avec de tous petits moyens, pas de costumes à paillettes ni de gros camions bourrés de sonos, juste quelques vieux utilitaires aux bas de caisse rouillés et percés, décorés de sagex, de cartons peints, bref, rien de rutilant mais très bon enfant; quelques beaux chevaux venus du continent, des quads tirants de petites remorques dont l'un avec la princesse du jour, d'autres des buveurs de bière.... pub.... d'autres encore des groupes de plongée bariolés et tatoués.
Belle ambiance et sourires, musique à fond dans "main street", la seule grand rue de l'île.
Trouvé aussi sur YOUTUBE une petite vidéo faite le jour même sur place par des festivaliers ... https://www.youtube.com/watch?v=FNUUqFeCzOI
| | |
|
|  Ce petit tour d'horizon se termine, nous profitons encore de quelques jours ici, notre premier mois passé au Honduras grâce à une prolongation de permis pour le bateau permet de ne partir vers que les 25 - 26 Juillet pour le Rio Dulce. Toujours ça de gagner dans le turquoise !!!
A tout bientôt depuis là-bas, autre pays, autre culture, autre population...
J'en connais qui se préparent moralement à une prochaine grande navigation...
Environ 110 milles pour rejoindre l'entrée du Rio Dulce au Guatemala.
|
| |
A tout bientôt au Guatemala
|
| 
Vos marins préférés... Jean-Claude et Chantal |
|
| |
|
Mise à jour le 27 octobre 2017 Québec - Canada
| Texte & photos du moussaillon, plus quelques-unes chipées aux copains. Avec l'aide précieuse de divers guides de voyage et d'Internet Site réalisé avec le programme Toweb
|
|
|
|